INTERESSE?

€ 475.000,- k.k.


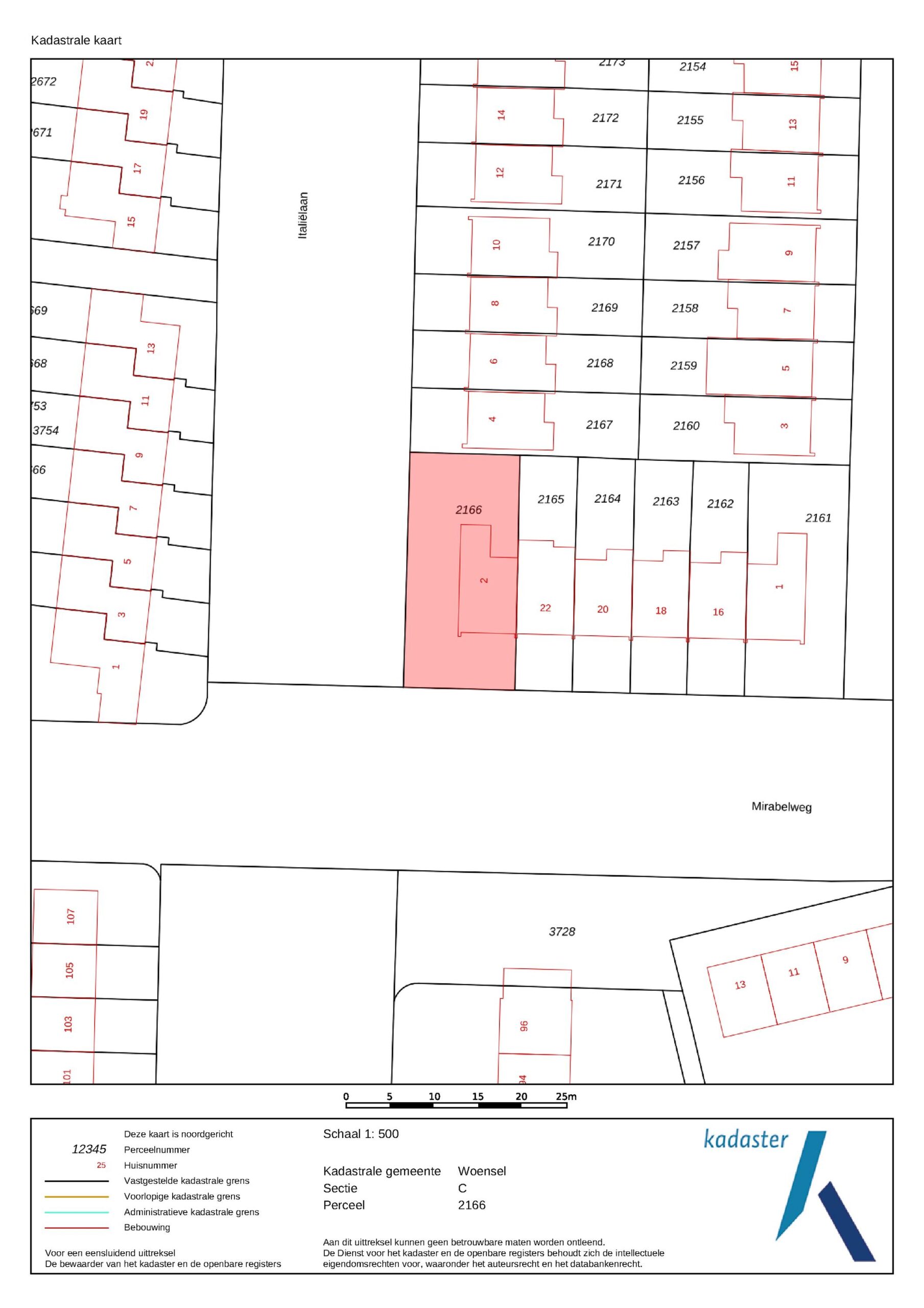
Eindhoven – Italiëlaan 2

Status
Verkocht onder voorbehoud
Koopprijs
€ 475.000,- k.k.
Adres
Italiëlaan 2
Plaats
Eindhoven
Postcode
5632 TE
Bouwjaar
1972
Perceel oppervlakte
337 m2
Gebruiksoppervlakte woonfunctie
138 m2
Aantal kamers
5
Aantal slaapkamers
4
Brochure

Foto's

Meer foto's...

Informatie

Nog geheel naar eigen wens te maken extra brede hoekwoning met een garage en oprit. Het lichte huis beschikt over een grote woonkamer, aparte keuken, 4 slaapkamers, dakterras en groene tuin op het westen met achterom. Gelegen in de wijk Heesterakker nabij winkels, scholen, openbaar groen en directe uitvalswegen.

BEGANE GROND:
Entree/hal met de meterkast, het toilet, trapkast, trapopgang en toegang tot de keuken en woonkamer. Deels betegeld toilet met een staand closet en fonteintje.

L-vormige woonkamer van circa 38 m2 met een deur naar de tuin. De kamer is afgewerkt met een houten vloer.

Aparte keuken met een keukenmeubel in hoekopstelling, inbouwkast en deur naar de tuin. De keuken is uitgerust met een dubbele spoelbak, 4-pits gaskookplaat, oven en koelkast.

1STE VERDIEPING:
Overloop met aansluitend 3 slaapkamers en de badkamer.

2 slaapkamers zijn gelegen aan de voorzijde van de woning en 1 aan de achterzijde. De grotere slaapkamer aan de voorzijde heeft toegang tot een balkon. De slaapkamer aan de achterzijde heeft een vaste wastafel.

Deels betegelde badkamer met een ligbad, staand closet, wastafel en deur naar een dakterras. Dakterras met uitzicht op de achtertuin.

2DE VERDIEPING:
Middels een vaste trap te bereiken voorzolder met een dakraam, de aansluitingen voor de wasmachine en droger en de cv-installatie. Aansluitend een 4de slaapkamer met een dakraam en vaste wastafel.

BUITEN:
Achtertuin gelegen op het westen met bestrating, borders, beplanting, garage (v.v. elektra) en eigen achterom.

ALGEMEEN:
– Grote hoekwoning die nog naar eigen wens te maken is;
– Extra brede woning van maar liefst 6,2 meter;
– Grote raampartijen zorgen voor een optimale lichtinval in de hele woning;
– Oprit en garage aan de achterzijde van de tuin, dus voldoende mogelijkheden voor het parkeren van een (elektrische) auto op eigen terrein;
– Koper dient rekening te houden met verbouwings-/moderniseringskosten;
– Nieuwe CV uit 2024, betreft een huurketel;
– Voorzien van houten kozijnen met enkel glas;
– Energielabel E, geldig tot 17-09-2035.

LOCATIE:
Italiëlaan 2 is gelegen in de wijk Heesterakker, stadsdeel Woensel. Op loopafstand van 2 basisscholen, MBS School, bushalte, winkelcentrum Vaartbroek, een huisarts, dierenarts en een sportpark. Op een paar minuutjes lopen, begint het mooie Amandelpark, ideaal om te gaan wandelen of te joggen. Het prachtige natuurgebied de Dommelvallei is slechts gelegen op 5 minuten lopen. Binnen een straal van 15 minuten fietsen vind je verder Winkelcentrum Woensel, het Catharina Ziekenhuis, bedrijvenpark Ekkersrijt & Esp en het Henri Dunantpark. Het centrum van Eindhoven is ongeveer 20 minuten fietsen, de bus brengt je in dezelfde tijd ook naar het NS station. Door de ligging nabij directe uitvalswegen ben je snel onderweg in alle richtingen.

Video

plattegronden

Ligging

Contact

    Ik heb zeker interesse in deze woning.